Nastavení cookies

Na našem webu používáme cookies.

Některé z nich jsou k fungování stránek nezbytné, ale o těch ostatních můžete rozhodnout sami.

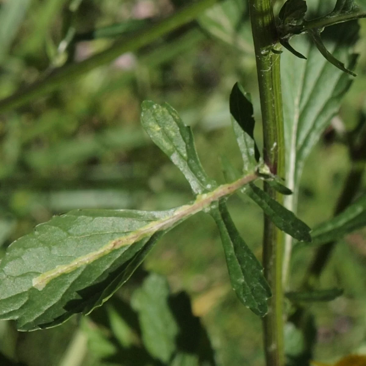
Starček bludný

Jacobaea erratica (Bertol.) Fourr.

  • Čeleď
    Hvězdnicovité
    Asteraceae
  • Lokalita nálezu
    Botanická zahrada Praha Na Slupi
  • Třída
    Dvouděložné
  • Životní forma
    Dvouletá až víceletá bylina
  • Výskyt
    V kultuře
  • Stupeň ohrožení
    C3 (ohrožené; ústup o 20-50%)
  • Barva květu
    Žlutá
  • Období květu
    • Červen
    • Červenec
  • 30 - 70 cm vysoká rostlina s větvenou lodyhou. Roste především na vlhkých a slunných stanovištích.

Klepnutím na náhled si zobrazíte větší obrázek.